Our new website is optimized for the most current web browsing technology. If you are using an older web browser, part of our website may not function properly as designed. Please consider upgrading your browser for an error free experience.
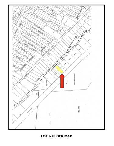
1+/- acre wooded lot fronts busy highway and backs to Bayou Fountain.
Asking price is $36,300.
*Note: Maps are for estimated illustration purposes only. Each buyer/seller must do his/her own due diligence. Bonnette Auctions/Louisiana Outdoor Properties Inc. is not responsible for map data variations. Materials produced by the seller should be independently verified.